суббота, 16 января 2016 г.

Дайвинг в Дауине

Дауин одно из лучших мест для дайвинга на Филиппинах по нашей классификации. Во-первых, тут отличное макро, на домашнем сайте обитает вся возможная мелкая живность - и фроги, и голожаберники, и гоустпайпы. Дайвсайты, расположенные вдоль берега примерно одинаковы - черный песок, дно с заметным уклоном уходит на глубину, кораллов мало. Во-вторых, рядом находится остров Апо с шикарными коралловыми садами и множеством черепах. Тут наоборот - песок белый, коралловая стенка, множество мягких и жестких кораллов всех цветов и форм.
Ныряли мы с дайвцентром Bongo-Bongo, заранее списались с ними, цены намного ниже, чем у Майка, но нет лодки для локальных дайвов - везде заходили с берега. Наныряли мы тут больше чем в остальных местах - каждый по 3 дайва на Апо, на локальных сайтах 5 я и 7 Олег, из них 3 совместных.
Домашний сайт, до которого от дайвцентра пара минут пешком, называется Poblacion and Cars, ныряли на нем несколько раз. По разу днем:
микроскопический фрожик
он же вид в профиль
гоустпайп
голожаберник
черный фрог
мурена
крохотная крылатка
редкая здесь коралловая рыбка
крохотный полупрозрачный гоустпайп
крабик в лилии
парочка черных гоустпайпов
clown frogfish
clown frogfish
крабики в актинии
крабик в морской лилии

рыбка в норке
рыба-игла
фотограф долго и увлеченно что-то снимал
оказалось эту парочку гоустпайпов
яркая крылатка
паффер
морской еж
стайка прозрачных рыбок
стайка рыбок в актинии
рыбки-клоуны в актинии
крупная крылатка
голожаберни пикачу
гоустпайп
крабик в лилии
парочка гоустпайпов разной конфигурации
парочка гоустпайпов разной конфигурации
голожаберник
крабик

На этом же сайте мы по разу нырнули ночью. Причем, Олегу повезло и он нырял с Ронни, профессиональным видеографом. У него на камеру были навешаны такие фонари, что он пошутил "этот дайв нельзя в полной мере назвать ночным, слишком светло". И еще им повезло увидеть редкую огненную каракатицу. А мне повезло увидеть еще более редкого маленького осьминога - blue ring octopus, к сожалению, он очень быстро скрылся, рассмотреть и заснять толком не успели. К этому времени экран на камере умер окончательно и фотографировали мы без вспышки и вслепую, оказывается, это не так просто - прицелиться, чтобы все нужное попало в кадр, а видео снимать еще сложнее, когда нет полной уверенности, что запись идет.
парочка голожаберников
крабик, замаскированный кусочками огненного коралла
каракатица
спящая рыбка
креветка-боксер
краб-отшельник
кальмар
кальмар
убегающий blue ring octopus
крабик
гоустпайп белый
и гоустпайп черный


креветочка
огненная каракатица



Остров Апо находится примерно в двух часах ходу на банке, выезжают сюда обычно на 3 дайва, то есть почти на весь день. Набор сайтов примерно одинаковый - мы с Олегом ходили 2 дня подряд по очереди и у нас из трех отличался лишь один. На Апо как раз у нашей камеры окончательно умер экран, рассмотреть что-либо получалось очень редко. Я ходила туда первой - у меня экран еще как-то работал, а на следующий день у Олега совсем отказал. Вспышку стало невозможно использовать - не видно настроек. Кроме экрана камера не пострадала - качество снимков было хорошее, поснимать коралловые пейзажи Апо можно и так.
отплываем от Негроса
подплываем к Апо
вид на Негрос от Апо
Негрос от острова Апо
берег острова Апо
поверхностный интервал на банке
дайверские банки
дайверские банку у Апо
берег Апо
Сайт Chapel.
кораллы
голожаберник
коралл (?)
крылатка
dragon shrimp - что-то очень мелкое и редкое
глазастая рыбка
крабик мимикрирует под мягкий коралл
крылатка
крабик мимикрирует под мягкий коралл
коралловые сады
leaf scorpion fish
коралловые рыбки
jackfish
голожаберник
композиция из разных видов кораллов
голожаберник
рыба-скорпион с открытым ртом
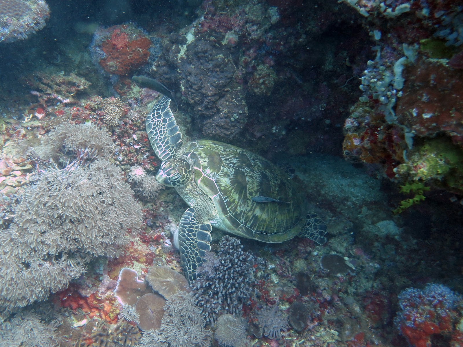
черепаха
разноцветные кораллы
крабик
черепаха в кораллах
парочка голожаберников
Rockpoint West.

берег Апо рядом с дайвсайтом
змея
коралл в виде стола
черепаха
крабик в лилии
гид ворошил лилию в поисках интересного
добыча
коралловые рыбки
голожаберник
плоский червь
панорама коралловых садов
Largahan. Здесь проявляется вулканическая активность - из песка струйками поднимаются мелкие пузырьки. Судя по всему, газ не очень дружелюбный, дно покрыто голым песком и рыбы практически нет.
микрокрабик
пузырьки

черепаха в пузырьках
камбала


рыба-игла
голожаберник
tube worm
просто рыбка
длинноносый кудрепер
длинноносый кудрепер
очень похоже на электрическую ракушку
яркие рыбки
кораллы
нереально яркая актиния
"сад угрей"
рыба, закапывающаяся в песок
крылатка
крабик и креветка
 Coconut point.
jackfish
косяк джеков поменьше
голожаберник
черепаха
Прямо напротив нашего отеля находится дайвсайт Dauin South North. Здесь мы ныряли, когда впервые решились оставить Ксюшку на попечение филиппинских тетушек и нырнуть вдвоем. Из достопримечательностей здесь огромные групперы и черепахи.
я
подводный мусор
голожаберник с икрой
большая колония садовых угрей
каракатица

я криво сфотографировала Олега
группер
кораллы
рыбки
мурена
креветка-богомол
группер
редкое фото вместе
Следующий совместный дайв у нас был на Documi Pier. Как понятно из названия, это заброшенный причал, в таких местах всегда очень много интересного и на этот раз дайв не обманул наших ожиданий. Здесь мы ныряли с Ронни - было очень удобно пользоваться светом от его фонарей для фото. А мы сами вместо вспышки опять по-старинке снимали с фонарем, к счастью, мы на всякий случай захватили наш самодельный диффузор.
стайка рыбок-листиков
фрогфиш
крохотный голожаберник
крылатка между игл морского ежа
чья-то икра 
голожаберник
tube worm
морской еж
креветка
и еще еж
и еще один
кто-то из скорпеновых
косяк рыб-листиков рядом с причалом
фрогфиш

опоры причала
стайка сомиков между опорами
бэтфиш
крылатка

камбала
морской конек, какой-то полудохлый
огненная каракатица


череп какого-то животного
краб закапывается в песок
краб убегает
камбала

Мы хотели попасть на дайвсайт с выходами горячей серной воды, мы были там в прошлую поездку, когда ныряли с дайвцентром Майка. Но наш гид не знал про этот сайт. Зато предложил нам нырнуть рядом с дайвцентром Майка на сайте Eldorado, посмотреть морских коньков. Там и правда их оказалось очень много, под конец Ронни снимал только наиболее удачно расположенных. Это был деньрожденный дайв Олега.
рыбка высовывается из песка
подводная улитка
и еще одна, с рогом
конек
крылатки
и еще конек
мелкая рыбка, что-то из скорпеновых
рыба в норе
и еще одна рыба, зарывшаяся в песок
именинник
вот на таком транспорте ездили нырять
И еще ныряли на паре локальных дайвсайтов:
рыба-скорпион
мурена
рыба-хирург
скат
паффер
мурена
группер
актиния
мелкие барракуды
И сайт Pyramidas.
рыбка
раковина-каури
фрог
креветка
tube worm
голожаберник
голожаберник
голожаберник

Комментариев нет:

Отправить комментарий